Foram encontradas 1.060 questões.
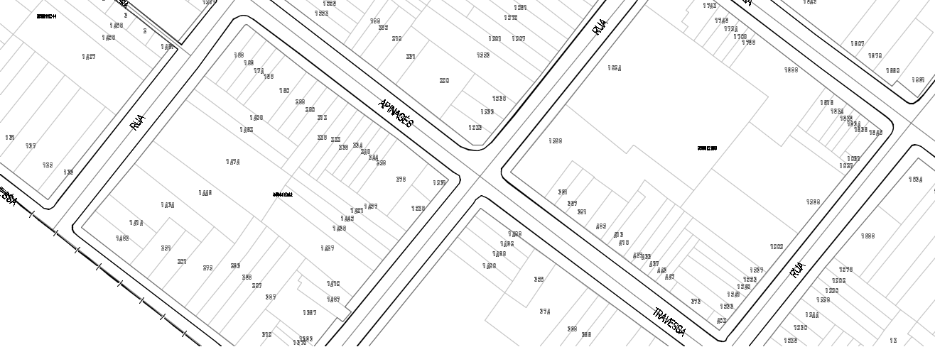
Observe e analise a imagem a seguir, do parcelamento do bairro de Batista Campos, em Belém. Pensando em elementos de pré-dimensionamento e projeto de sistema viário, marque a alternativa correta.

Figura 3 Trecho do parcelamento (via, quadra, lote) do bairro de Batista Campos, em Belém.
Fonte: CODEM-PMB (Companhia de Desenvolvimento e Administração da Área Metropolitana de Belém). Cadastro técnico multifinalitário. Belém: Prefeitura Municipal, 2003. CD-ROM.
Provas
A atual lei de regulamentação da profissão (Lei n, 8.662/1993) identifica o exercício da assessoria/consultoria como uma atribuição privativa do assistente social e também como uma competência desse profissional. Neste sentido, assessoria consiste
Provas
Belém possui um Manual de Arborização Urbana, editado pela Secretaria Municipal de Meio Ambiente da Prefeitura Municipal de Belém (SEMMA-PMB). Com base neste manual e a respeito do plantio de espécies arbóreas de grande porte como a Mangueira (Mangifera indica), é correto afirmar que
Provas
Em pesquisa divulgada pelo Ministério da Educação em 2015 (Juventudes na escola, sentidos e buscas: por que frequentam?), foi apresentada a tabela abaixo, sobre evasão escolar na perspectiva dos alunos:
TABELA 3.2.3 – Distribuição dos alunos, segundo modalidade de ensino, por motivos pelos quais pararam de estudar (seleção múltipla dos que pararam) (%)
Motivos pelos quais parou de estudar | EJA | EM | PJU | Total |
Para trabalhar | 35,5% | 21,4% | 26,0% | 28,0% |
Por questões de família | 17,0% | 23,8% | 18,8% | 20,6% |
Por motivo de gravidez | 13,8% | 8,3% | 26,5% | 11,1% |
Não gosta de estudar | 7,3% | 7,1% | 8,5% | 7,2% |
Problemas de saúde | 4,4% | 8,8% | 3,5% | 6,7% |
Problemas na escola | 4,2% | 6,2% | 2,7% | 5,2% |
Escola chata/desinteressante | 2,8% | 5,9% | 2,2% | 4,4% |
Violências na escola | 2,2% | 2,7% | 1,9% | 2,5% |
Outro | 12,8% | 15,5% | 9,9% | 14,3% |
Total | 100,0% | 100,0% | 100,0% | 100,0% |
Fonte: Abramovay. Waiselfisz e castro, Pesquisa Jovens de 15 a 29 anos - FLACSO e MEC,2013.
Tendo por base esta realidade e o papel do psicólogo escolar neste cenário, é correto afirmar que
Provas
O estudo dos aspectos quantitativos da informação em qualquer formato e suporte, referente a qualquer grupo social, é a
Provas
O projeto neoliberal encontra nas práticas assistencialistas a estratégia para dar conta da pobreza, ao passo que o projeto ético-político propõe o combate à desigualdade pela via do direito. Portanto, um dos desafios no processo de supervisão é
Provas
O projeto de sistema viário e bolsões de estacionamento obedece a algumas técnicas de dimensionamento e adequação ao uso do automóvel. Observando o trecho de via em planta baixa, veiculado pela Prefeitura Municipal de Florianópolis, é correto afirmar que

Figura 2 Trecho em planta do projeto urbanístico da Avenida Presidente Kennedy, na Região Metropolitana de Florianópolis-SC.
Fonte: <http://www.aemflocdl.com.br/noticias/detalhe/4539>.
Provas
- Processos TécnicosBusca e Recuperação da Informação
- Tecnologias da informaçãoTratamento da informação em ambientes informatizados
É/São ação(ões) fundamental(is) do bibliotecário, com vistas a facilitar o acesso e a recuperação da informação pelo usuário,
Provas
A definição de elementos de projeto de sistema viário, no Urbanismo, atende a critérios funcionais, ergonômicos, infraestruturais, estéticos, topológicos e outros, conforme a natureza do projeto. Considerando os elementos de sistema viário, é correto afirmar, para o pré-dimensionamento contextualizado para o Brasil, que
Provas
A instrumentalidade no trabalho do assistente social (Guerra, 2000) diz respeito às propriedades/capacidades historicamente construídas pela profissão, como uma condição sócio-histórica do Serviço Social, em três níveis:
Provas
Caderno Container