Foram encontradas 1.443 questões.
O termo radiométrico cuja definição é um fluxo radiante por ângulo sólido, proveniente de uma área, em uma determinada direção, é
Provas
No ano de 2015, um Perfilador Acústico de Correntes por Efeito Doppler (ADCP) foi fundeado próximo à costa, na posição de coordenadas 04° 16' N / 001° 14' W. A declinação magnética, indicada na carta náutica para a região do fundeio, foi de 01° 31' W, em 2001, com variação anual de 4' W. Qual valor de correção deverá ser aplicado às leituras de direção de corrente realizadas pelo equipamento, que possui uma agulha magnética interna, a fim de se obter os valores da direção da corrente local, em relação ao Norte Verdadeiro?
Provas
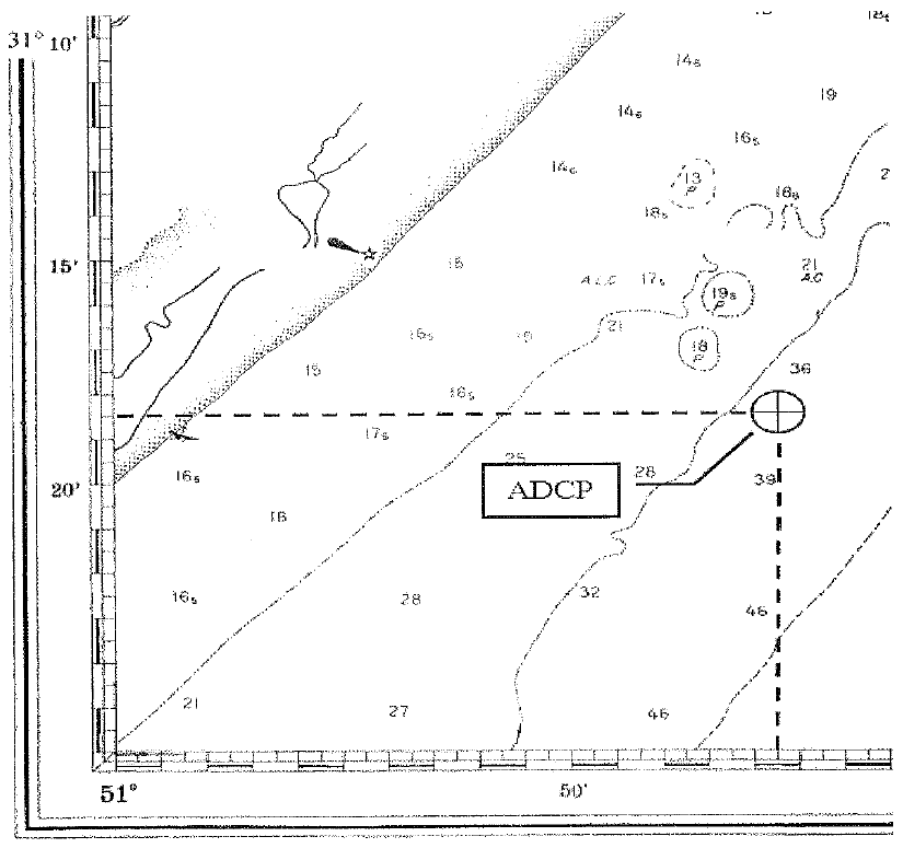
A figura abaixo apresenta o local de fundeio de um Perfilador Acústico de Correntes por Efeito Doppler (ADCP), plotado numa Carta Náutica, construída na Projeção de Mercator, Escala natural 1:274023 na latitude 30º18'.

O local de fundeio, representado por um círculo central, possui as seguintes coordenadas:
Provas
Em uma área sob influência de um sistema anfidrômico, foram feitos registros de marés em 5 pontos (P), conforme a figura abaixo. Todos os 5 pontos estão distanciados de maneira concêntrica e a primeira estação (P1) está localizada no ponto anfidrômico.

Assinale a opção que indica o ponto no qual se espera registrar as maiores alturas deste sistema anfidrômico.
Provas
Considerando uma onda em sua área de formação, analise as afirmativas abaixo.
I - A altura das ondas a serem geradas depende da direção, da intensidade e do tamanho da pista de vento.
II - O crescimento das ondas na área de formação não é infinito. Normalmente, quando a esbeltez da onda em águas profundas atinge valores superiores a 1/7 , as ondas quebram na forma de WHITE CAPS, ou "carneirinhos".
III- A ação inicial do vento sobre um oceano plano produz pequenas flutuações de pressão na superfície do mar, o que causa, no início, a formação de ondas com poucos centímetros de altura.
IV - O espectro de JONSWAP é idealizado para o mar em desenvolvimento e o espectro de PIERSON-MOSKOWITZ apresenta a relação entre mar desenvolvido e velocidade do vento.
V - Na área de formação, as ondas apresentam um comportamento randômico. Com o movimento para fora dessa área, as ondas começam a se dispersar em grupos mais regulares, principalmente devido às diferentes velocidades de cada frequência de onda.
Assinale a opção correta.
Provas
Um trem de ondas está se propagando na direção norte, nas proximidades de uma região costeira, conforme representado na figura abaixo.

Dentre as opções abaixo, qual apresenta a área esperada de maior energia de onda e o nome do fenômeno responsável por isso?
Provas
Sabe-se da influência da Força de Coriolis na dinâmica global da maré e na geração de sistemas, como o anfidrômico. Sobre a influência da Força de Coriolis (FC) e dos Sistemas Anfidrômicos (SSAA) nas deflexões dos fluidos no Hemisfério Norte (HN) e no Hemisfério Sul (HS), é correto afirmar que:
Provas
Durante um período de inverno, um correntômetro foi instalado em uma região costeira do litoral sudeste brasileiro, medindo velocidade e direção de corrente na superfície do mar, por um período de 30 dias. Após coleta da série temporal e aplicação da transformada rápida de Fourier (FFT) na componente norte-sul dos dados de corrente, foi possível gerar o gráfico a seguir, que relaciona a energia com as escalas de frequência do fenômeno.

Com base nas informações contidas no gráfico acima e nas frequências dominantes, assinale a opção correta.
Provas
Durante o verão, em determinada regiao costeira, ocorre a mistura dos seguintes tipos de água: I (34;24) e II (35;14). Qual é a proporção relativa do tipo de água II no par (S; T) = (34, 6; 18)?
Provas
Uma embarcação está navegando ao largo e paralelamente à linha de costa no rumo 010º. Nesse contexto, sopra um vento de velocidade e ângulo, respectivamente, de 5.0 km/h e 40º. A tripulação necessita estimar a velocidade da componente do vento capaz de induzir o processo de deriva de Ekman na área. Assinale a opção que apresenta o valor estimado.
Provas
Caderno Container